あきる野市野辺第14 新築戸建 全3棟 東京都あきる野市野辺 |2,980万円の新築一戸建て|エムイーPLUS横浜

エムイーPLUS横浜

045-489-5600

営業時間:9:00~ 定休日:毎週水曜

TOPページ >
物件検索 >
新築一戸建て
>
あきる野市
>
JR五日市線
>
あきる野市野辺第14 新築戸建 全3棟

新築一戸建て

あきる野市野辺第14 新築戸建 全3棟NEW

お気に入り
価格 2,980万円 ローンシミュレーション
所在地 東京都あきる野市野辺
この地域周辺の物件を見る
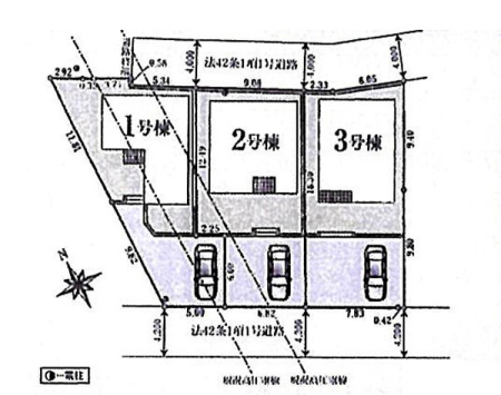
土地面積 153.5m² (46.43坪) 建物面積 98.01u
築年月 2025年10月築 間取り 3LDK (-)
交通
JR五日市線 東秋留 徒歩14分
JR五日市線 秋川 徒歩28分
ここがおすすめ

-


  •  間取り
  •  区画図
  • 周辺環境 駅 1120m 東秋留駅
  • 周辺環境 小学校 630m あきる野市立東秋留小学校
  • 周辺環境 中学校 1800m あきる野市立東中学校
  • 周辺環境 幼稚園・保育園 1500m ほうりんじ幼稚園
  • 周辺環境 病院 200m さくらクリニック
  • 周辺環境 スーパー 720m いなげやあきる野雨間店

お問い合わせ、資料請求、見学のお申し込みはこちらから

電話をかける(携帯・PHS可)
045-489-5600
「ホームページを見た」とお伝え下さい。

お問い合わせ番号をお伝えください
RHS-980929762

内見予約
お問合せ

セールスポイント

特徴
  • オール電化
  • システムキッチン
  • カウンターキッチン
  • シャワートイレ
  • 浴室乾燥機
  • Wクローゼット
  • 床下収納
  • バルコニー
  • TVドアホン
  • 住宅性能保証付
  • 新着物件
セールスコメント  太陽光発電システムを月額サービス料にて導入できるサービス付きの分譲戸建て住宅となり太陽光発電設備が設置されております。詳しくはお問い合わせください。


物件概要

採光面 - 構造/階数 木造/地上2階建
建ぺい率 40(%) 容積率 80(%)
駐車場 現況/引渡し 空家/即時
土地権利 所有権 私道負担面積 -

接道状況 接道: 南西 公道 道路幅: 4.2m
接道: 北東 公道 道路幅: 4m
用途地域
第一種低層住居専用地域
セットバック なし 法令上の制限 第一種高度地区 景観法 航空法 法22条区域 高さ制限10m 宅地造成等工事規制区域 ルーフバルコニー9.72平米除外面積
地目 宅地 地勢 0
建築確認番号 第R07SHC108474号 都市計画 -
取引態様 仲介
情報更新日 2025年10月25日 次回更新日 2025年11月08日
※各種情報と差異がある場合は現況優先となります

学区情報

小学校区 あきる野市立東秋留小学校
(東京都あきる野市)
この学区の他の物件を見る
中学校区 東中学校
(東京都あきる野市)
この学区の他の物件を見る
※物件情報の学区情報について
当サイト物件情報に記載されております通学区域(学区)情報は、国土数値情報ダウンロードサービスが提供する小学校区データ【2021年度】及び中学校区データ【2021年度】を元に加工したものですので、記載情報が現在の学区域と異なる場合がございます。
国土数値情報ダウンロードサービスのWEBサイト上で記述通り、データは必ずしも正確とは言えません。また、通学区域(学区)は毎年見直しの対象となりますので、そちらを踏まえ学区情報は参考としてご活用下さい。

お問い合わせ、資料請求、見学のお申し込みはこちらから

電話をかける(携帯・PHS可)
045-489-5600
「ホームページを見た」とお伝え下さい。

お問い合わせ番号をお伝えください
RHS-980929762

内見予約
お問合せ

この物件でローンシミュレーションする

価格 万円
年利率
ボーナス払い 返済年数
頭金 直接入力する 万円

毎月のご返済額

ボーナス(×年2回)

物件価格

2,980万円
※返済金額はあくまでも目安です。

こちらの物件は複数区画の分譲地・他にも販売中のマンションがあります。

あきる野市野辺
2780万円〜2980万円
  • こちらの物件を見たお客様はこんな物件もチェックしています。
  • お気に入り物件

電話をかける(携帯・PHS可)
045-489-5600
「ホームページを見た」とお伝え下さい。

お問い合わせ番号をお伝えください
RHS-980929762

内見予約
お問合せ

お問い合わせ

  1. 1
    内容入力
  2. 2
    内容確認
  3. 3
    完了
お問合せ内容必須
【備考欄】
詳細な見学ご希望時間、ご質問、ご希望条件などがございましたらお聞かせ下さい。
(2000文字以内)
お名前必須
メールアドレス必須
※ご記入いただいたメールアドレス宛てに、お問合せ内容の確認メールをお送りいたします。
※Yahoo!メールなどのフリーメールをご利用の場合、迷惑メールフォルダに入る場合があります。
 迷惑メールのフォルダ・設定等をご確認下さい。
電話番号必須
FAX(任意)
※ご入力いただいたお客さまの個人情報は、「個人情報の取扱いについて」に基づき適正に取り扱います。必ずお読みになり、同意の上お問い合わせください。

お気軽にお問い合わせください

045-489-5600
物件番号 RHS-980929762
※「ホームページを見た」
とお伝え下さい。