あきる野市野辺第14 新築戸建 全3棟 東京都あきる野市野辺 |2,780万円の新築一戸建て|エムイーPLUS横浜
| 価格 | 2,780万円 ![]() |
||||
|---|---|---|---|---|---|
| 所在地 | 東京都あきる野市野辺
この地域周辺の物件を見る |
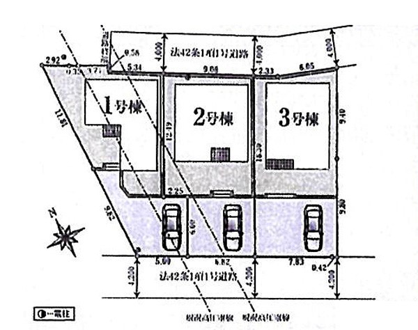
土地面積 | 154.28m² (46.67坪) | 建物面積 | 90.72u |
| 築年月 | 2025年10月築 | 間取り | 3LDK (-) | ||
| 交通 |
JR五日市線 東秋留 徒歩14分
JR五日市線 秋川 徒歩28分 |
||||
| 特徴 |
|
|---|---|
| セールスコメント | 太陽光発電システムを月額サービス料にて導入できるサービス付きの分譲戸建て住宅となり太陽光発電設備が設置されております。詳しくはお問い合わせください。 |
| 採光面 | - | 構造/階数 | 木造/地上2階建 |
|---|---|---|---|
| 建ぺい率 | 40(%) | 容積率 | 80(%) |
| 駐車場 | 有 | 現況/引渡し | 空家/即時 |
| 土地権利 | 所有権 | 私道負担面積 | - |
| 接道状況 | 接道: 南西 公道 道路幅: 4.2m 接道: 北東 公道 道路幅: 4m |
用途地域 |
第一種低層住居専用地域
|
| セットバック | なし | 法令上の制限 | 第一種高度地区 景観法 航空法 法22条区域 高さ制限10m 宅地造成等工事規制区域 ルーフバルコニー6.48平米除外面積 |
| 地目 | 宅地 | 地勢 | |
| 建築確認番号 | 第R07SHC108473号 | 都市計画 | - |
| 取引態様 | 仲介 | ||
| 情報更新日 | 2025年11月15日 | 次回更新日 | 2025年11月29日 |
| 小学校区 | あきる野市立東秋留小学校 (東京都あきる野市) この学区の他の物件を見る |
中学校区 | 東中学校 (東京都あきる野市) この学区の他の物件を見る |
|---|
| 価格 | 万円 | ||
|---|---|---|---|
| 年利率 | % |
||
| ボーナス払い | 返済年数 | ||
| 頭金 | 直接入力する | 万円 | |

毎月のご返済額 |
ボーナス(×年2回) |
物件価格2,780万円 |
![]() |
![]() |
あきる野市野辺
2780万円〜2980万円 |
-